Şara Zehra ÖZBEY/ MISIR, (DHA) - Mısır'ın Şarm El Şeyh kenti, dünyanın en iyi dalış noktalarından biri olarak kabul edilen Kızıl Deniz'in merkezinde yer alıyor. Sıcak tropikal ve berrak suları, zengin deniz altı yaşamı ve görkemli mercan resifleri, burayı tüplü dalış için ideal bir destinasyon haline getiriyor. Profesyonel dalış merkezleri ve eğitmenler, deneyimli dalgıçlardan acemi seviyesindekilere kadar herkesin güvenli bir şekilde dalış yapmasını sağlıyor.

Şarm El Şeyh, her seviyeden dalgıç için uygun dalış noktalarına sahip. Acemi dalgıçlar için sığ sularda güvenli eğitim alanları bulunurken, deneyimli dalgıçlar için daha derin dalış noktaları mevcut. Renkli balıklar, deniz kaplumbağaları, mercanlar ve hatta köpekbalıkları gibi muhteşem deniz yaşamını keşfetmek için Kızıl Deniz'in sularına dalış yapabiliyorsunuz. Hükümetin bölgedeki denetlemeleri ve doğal yaşamı etkilememek adına aldığı önlemlerin başında, dalış yapacakların yalnızca güvenli bölgelerde dalmasına izin veriliyor. Ayrıca, dalış merkezleri genellikle nitrox (nitrojen yüklemesini azaltmasına izin veren bir solunum gazı türü) ve teknik dalış gibi özel dalış kursları da sunuyor. Tüplü dalış yapmak isteyenlerin dikkat etmesi gereken bazı önemli noktalar arasında, dalış öncesinde kısa bir eğitim ile temel dalış becerilerini öğrenme ve dalgıçların sağlık durumları yer alıyor.

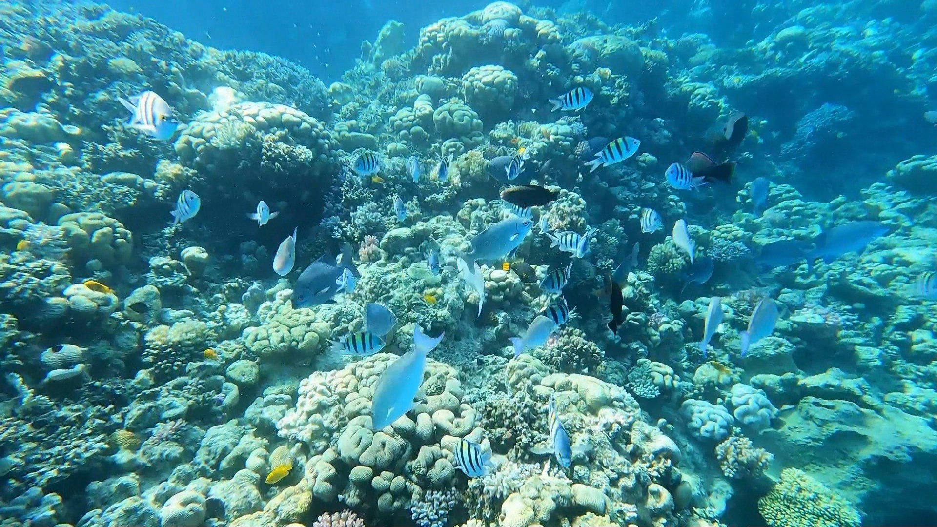
“BİR AKVARYUMUN İÇERİSİNDE GÖREMEYECEĞİNİZ CANLILARI KIZILDENİZ’DE GÖREBİLİYORSUNUZ”

Rixos Mısır Otelleri CEO'su Erkan Yıldırım, Mısır’ın 12 ay boyunca ziyaret edilebilecek turistik bir bölge olduğuna dikkat çekerek, “Mısır’da 365 gün boyunca güneş garanti. Türkiye ile arasındaki mesafe ve ilişkilerin düzelmesiyle birlikte de 2 saat 15 dakika gibi kısa bir sürede ulaşabiliyorsunuz. Kızıldeniz dünyadaki su dünyasının en zengin olduğu bölge. Hatta bir akvaryumun içerisinde bile göremeyeceğiniz çeşitte balık ve mercan çeşitlerini görebiliyorsunuz. Ayrıca profesyonel dalgıç olmanıza da gerek yok sadece şnorkel gözlükleriniz ile birlikte bile bu canlıları görebilirsiniz. Bu meditasyon gibi bir şey ve önereceğimiz etkinlikler arasında” dedi.

Gallery