İsti hava Astaranın sitrus bağlarında məhsuldarlığı aşağı salıb

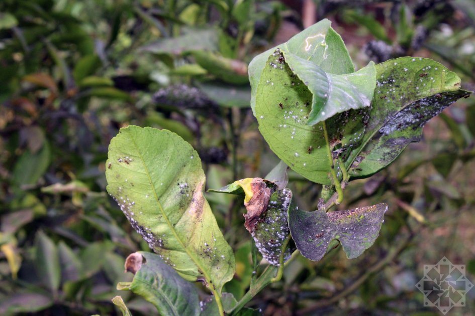
İsti və yağmursuz hava şəraiti Astara rayonunun sitrus bağlarına mənfi təsir göstərib, bağlarda bir sıra xəstəliklər yayılmağa başlayıb. Xüsusilə, nəmliyin azalması və istilərin artması ağacların vegetativ inkişafına mane olur ki, bu da məhsuldarlığın azalmasına və meyvələrin keyfiyyətinə ciddi təsir edir.

AZƏRTAC-ın bölgə müxbiri xəbər verir ki, fermerlər və bağ sahibləri sitrus bitkilərini xəstəliklərdən qorumaq üçün dərmanlamadan tutmuş, suvarma sistemlərinin optimallaşdırılmasına qədər müxtəlif tədbirlər görsələr də, nəticə verməyib.

Təsərrüfat sahibi Zəbiəli Əliyev bildirir ki, son vaxtlar davam edən isti hava şəraiti zərərvericilərin və xəstəliklərin çoxalmasına əlverişli şərait yaradıb. Bu isə sitrus bağlarında məhsuldarlığın azalmasına ciddi təsir göstərib. Onun sözlərinə görə, yaranan xəstəliklər bitkilərin inkişafını ləngidir, ağacların köklərinə və meyvələrinə ziyan vurur. Nəticədə, məhsulun keyfiyyəti və miqdarı nəzərəçarpacaq dərəcədə aşağı düşür.

"Bu xəstəlik nədirsə, baş aça bilmirik. Xəstəliyin qarşısını almaq üçün bütün vasitələri yoxlamışıq, amma heç biri nəticə verməyib. Xüsusilə limon və narıngi ağaclarında meyvələr yetişmədən çürüyür, yerə tökülür. Ən qəribəsi odur ki, bu xəstəlik həm meyvələri, həm də ağacın yarpaqlarını çürüdür. Ötən illə müqayisədə bu il məhsuldarlıq çox aşağıdır. Məsələn, keçən il bir limon ağacından 400-500 ədəd meyvə yığırdıqsa, bu il cəmi 40-50 ədəd məhsul var. Demək olar ki, ağaclarda artıq məhsul qalmayıb”, - deyə təsərrüfat sahibi əlavə edir.

Digər fermer Təyyar Heydərov da yaranmış vəziyyətlə bağlı narahatlığını dilə gətirib: "Xəstəliyin qarşısını almaq üçün əlimizdən gələni etmişik, müxtəlif dərmanlama və müdaxilə üsullarını sınaqdan keçirmişik, lakin heç bir tədbir müsbət nəticə verməyib. Xüsusilə limon və narıngi ağacları ciddi zərər görür. Meyvələr hələ yetişməmiş çürüməyə başlayır. Bu xəstəlik ağacların məhsul vermə qabiliyyətini demək olar ki, aşağı salıb. Biz bilmirik ki, bu xəstəlik nədən qaynaqlanır”.

Astaralı fermerlər bildirirlər ki, belə davam edərsə, bu il bağlarda məhsuldarlıq çox aşağı olacaq.

Gallery